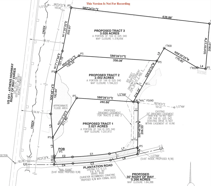
Land for Sale - 0 Plantation Rd, Madison, GA 30650 - 7.04 acres

Three Adjacent Tracts for Sale as a Package - Family Compound or Residentia

0 Plantation Rd, Madison, GA | Lat/Lng:  33.6694, -83.4433

$289,900
7.04 ac.
01/30/2025
ACTIVE
Main Listing ImageMain Listing Image

Description

Three adjacent tracts for sale! Located in the highly sought-after North Morgan County, these three tracts provide a unique opportunity for a family or a builder to have three buildable lots with land. The property has been mulched to best show the potential homesite locations. A shared access coming off of Plantation Road will provide the future owner(s) of these lots with easy access and not have to put driveways on 441. The property is zoned AR, which allows for single family detached homes, multi-section individual manufactured homes, and modular homes and has a 1200 square foot heated floor area minimum per dwelling. Owner / Agent. Contact Longleaf Realty at 1 (888) 885 - 5273 or Brooks Pennington at (706) 474 - 0306.

Details

CountyMadison
Zipcode30650
Property Type OneUndeveloped Land
BrokerageLongleaf Realty Trust, LLC
Brokerage Linkwww.longleafcre.com
Land Listing Agent Photo
Longleaf Trust
Longleaf Realty Trust, LLC
(706) 474-1348
By clicking the button, you agree to our Terms of Use and Privacy Policy.
$ image/svg+xml image/svg+xml image/svg+xml image/svg+xml image/svg+xml image/svg+xml image/svg+xml image/svg+xml image/svg+xml image/svg+xml image/svg+xml image/svg+xml image/svg+xml image/svg+xml image/svg+xml image/svg+xml image/svg+xml image/svg+xml image/svg+xml image/svg+xml image/svg+xml image/svg+xml image/svg+xml image/svg+xml image/svg+xml image/svg+xml image/svg+xml image/svg+xml image/svg+xml image/svg+xml image/svg+xml image/svg+xml image/svg+xml image/svg+xml image/svg+xml image/svg+xml image/svg+xml image/svg+xml image/svg+xml image/svg+xml image/svg+xml image/svg+xml image/svg+xml image/svg+xml image/svg+xml image/svg+xml image/svg+xml image/svg+xml image/svg+xmlimage/svg+xml image/svg+xml image/svg+xml image/svg+xml image/svg+xml image/svg+xml image/svg+xml image/svg+xml image/svg+xml image/svg+xml image/svg+xml image/svg+xml image/svg+xml image/svg+xml image/svg+xml image/svg+xml image/svg+xml image/svg+xml image/svg+xml image/svg+xml image/svg+xml image/svg+xml image/svg+xml image/svg+xml image/svg+xml $image/svg+xmlimage/svg+xmlimage/svg+xml image/svg+xml image/svg+xml