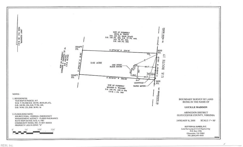
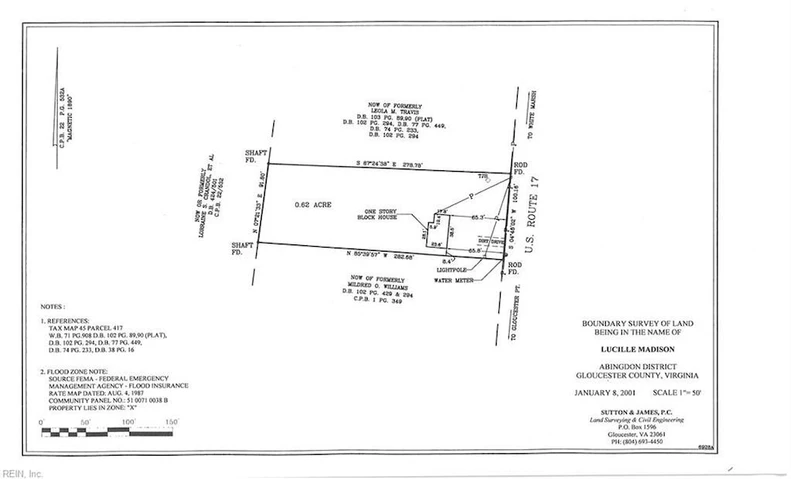
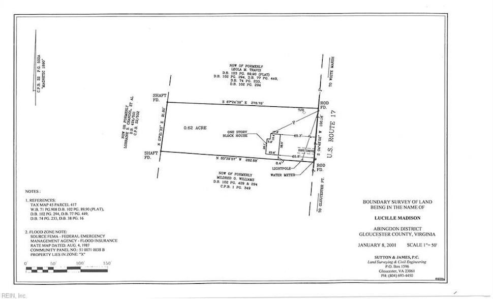
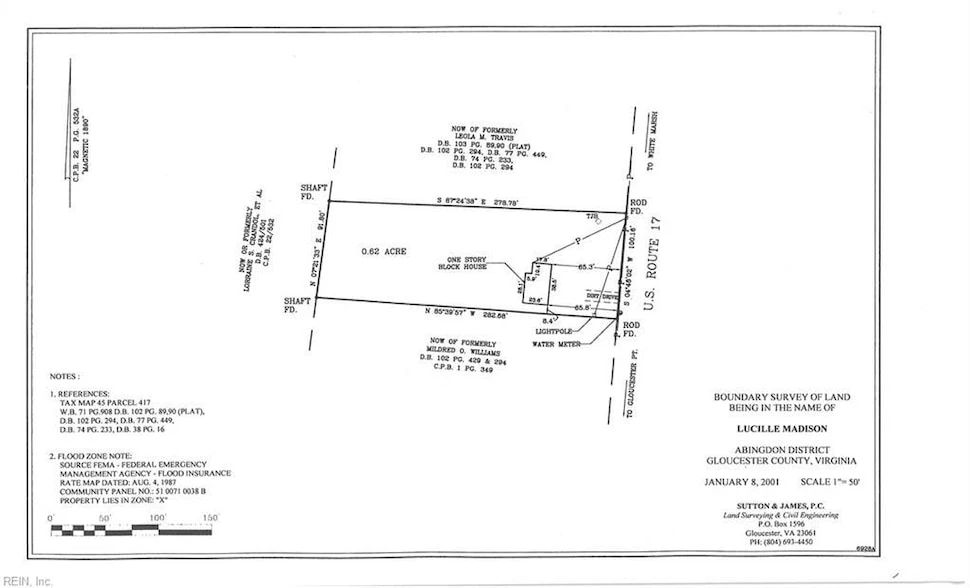
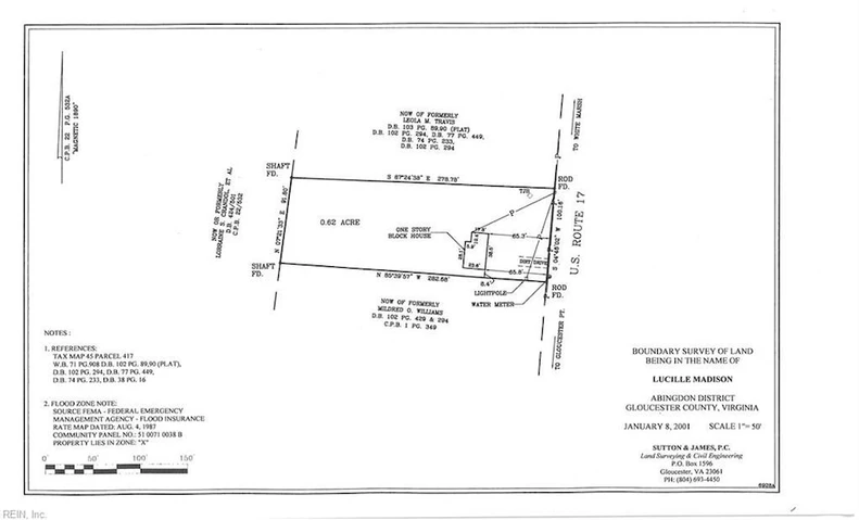
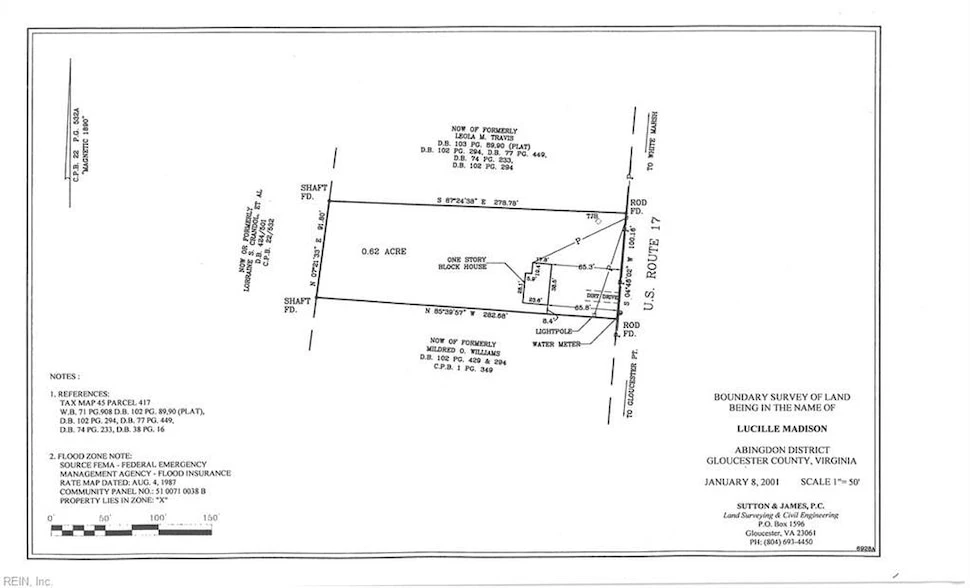
Land for Sale - 4466 George Washington Memorial Highway, Gloucester, VA 23061 - 0.62 acres

0.62 acres in Gloucester County, VA

4466 George Washington Memorial Highway, Gloucester, VA | Lat/Lng:  37.4409, -76.5571

$100,000
0.62 ac.
12/18/2024
ACTIVE
Main Listing ImageMain Listing Image

Description

Commercial Lot fronting Rt. 17. Zoned B-1 100' frontage on Southbound Rt 17. 280' depth see attached plat. County water on property. County sewer on opposite side of Rt. 17.

Details

CountyGloucester
Zipcode23061
Property Type OneUndeveloped Land
BrokerageNextHome Coast to Country RE
Brokerage Linkwww.nexthome.com
Land Listing Agent Photo
Frank Wingfield
NextHome Coast to Country RE
(804) 581-1995
By clicking the button, you agree to our Terms of Use and Privacy Policy.
$ image/svg+xml image/svg+xml image/svg+xml image/svg+xml image/svg+xml image/svg+xml image/svg+xml image/svg+xml image/svg+xml image/svg+xml image/svg+xml image/svg+xml image/svg+xml image/svg+xml image/svg+xml image/svg+xml image/svg+xml image/svg+xml image/svg+xml image/svg+xml image/svg+xml image/svg+xml image/svg+xml image/svg+xml image/svg+xml image/svg+xml image/svg+xml image/svg+xml image/svg+xml image/svg+xml image/svg+xml image/svg+xml image/svg+xml image/svg+xml image/svg+xml image/svg+xml image/svg+xml image/svg+xml image/svg+xml image/svg+xml image/svg+xml image/svg+xml image/svg+xml image/svg+xml image/svg+xml image/svg+xml image/svg+xml image/svg+xml image/svg+xmlimage/svg+xml image/svg+xml image/svg+xml image/svg+xml image/svg+xml image/svg+xml image/svg+xml image/svg+xml image/svg+xml image/svg+xml image/svg+xml image/svg+xml image/svg+xml image/svg+xml image/svg+xml image/svg+xml image/svg+xml image/svg+xml image/svg+xml image/svg+xml image/svg+xml image/svg+xml image/svg+xml image/svg+xml image/svg+xml $image/svg+xmlimage/svg+xmlimage/svg+xml image/svg+xml image/svg+xml