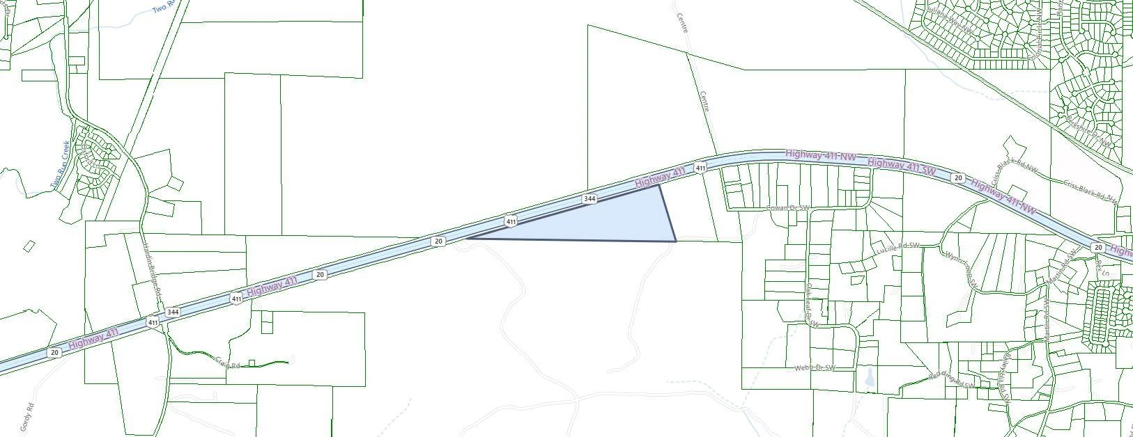
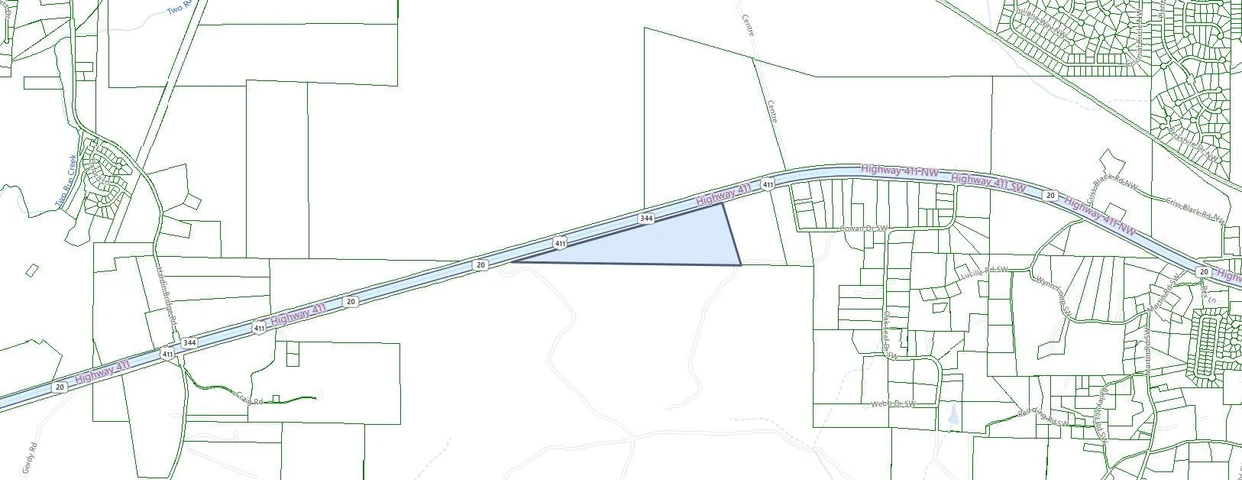
Parcel Map
Sold Land
Land for Sale
Community
Pricing
Help
More
Map
Land For Sale
Georgia
Bartow
45 Acres on Highway 411
Highway 411, Cartersville, GA
|
Lat/Lng: 34.2214, -84.9095
$13,500,000
45 ac.
05/19/2022
ACTIVE
Switch to Map View
Description
Great potential industrial development on Highway 411. Adjacent listings adding to 65 Acres. GAMLS #'s: 20041770 & 20041762
Details
County:
Bartow
Zipcode:
30120
Property Type One:
Undeveloped Land
Brokerage:
The Norton Agency
Brokerage Link:
www.gonorton.com/
Apn:
0036-0254-001
Frank Jr.
The Norton Agency
(770) 297-4800
Contact Agent
By clicking the button, you agree to our
Terms of Use
and
Privacy Policy
.
View Original Listing
Download Listing Brochure
View AcreValue Report
View Comparable Sales
Nearby Listings
Chattooga County, GA
$5,250,000 - 327 ac.
Gilmer County, GA
$89,900 - 2 ac.
Haralson County, GA
No Price - 363 ac.
Cherokee County, AL
$939,000 - 326 ac.
Cherokee County, GA
$6,999 - 0 ac.
Chattooga County, GA
$793,900 - 294 ac.
Haralson County, GA
$349,000 - 46 ac.
Paulding County, GA
$1,999,900 - 88 ac.
Gilmer County, GA
$700,000 - 1 ac.
Haralson County, GA
$170,850 - 20 ac.
$
image/svg+xml
image/svg+xml
image/svg+xml
image/svg+xml
image/svg+xml
image/svg+xml
image/svg+xml
image/svg+xml
image/svg+xml
image/svg+xml
image/svg+xml
image/svg+xml
image/svg+xml
image/svg+xml
image/svg+xml
image/svg+xml
image/svg+xml
image/svg+xml
image/svg+xml
image/svg+xml
image/svg+xml
image/svg+xml
image/svg+xml
image/svg+xml
image/svg+xml
image/svg+xml
image/svg+xml
image/svg+xml
image/svg+xml
image/svg+xml
image/svg+xml
image/svg+xml
image/svg+xml
image/svg+xml
image/svg+xml
image/svg+xml
image/svg+xml
image/svg+xml
image/svg+xml
image/svg+xml
image/svg+xml
image/svg+xml
image/svg+xml
image/svg+xml
image/svg+xml
image/svg+xml
image/svg+xml
image/svg+xml
image/svg+xml
image/svg+xml
image/svg+xml
image/svg+xml
image/svg+xml
image/svg+xml
image/svg+xml
image/svg+xml
image/svg+xml
image/svg+xml
image/svg+xml
image/svg+xml
image/svg+xml
image/svg+xml
image/svg+xml
image/svg+xml
image/svg+xml
image/svg+xml
image/svg+xml
image/svg+xml
image/svg+xml
image/svg+xml
image/svg+xml
image/svg+xml
image/svg+xml
image/svg+xml
$
image/svg+xml
image/svg+xml
image/svg+xml
image/svg+xml
image/svg+xml