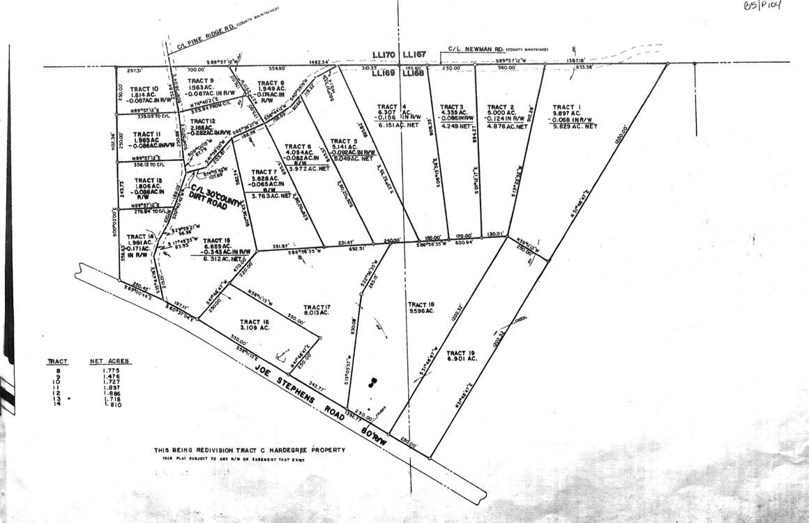
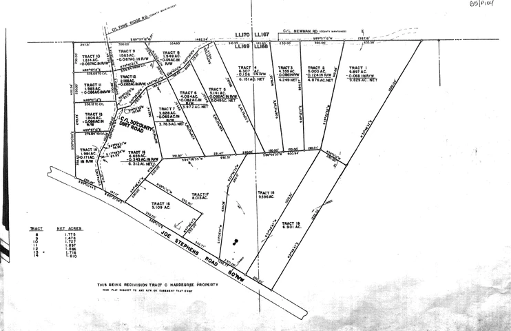
Parcel Map
Sold Land
Land for Sale
Community
Pricing
Help
More
Map
Land For Sale
Georgia
Heard
15.74 Private Acres Zoned Rural Development
Newman Road, Franklin, GA
|
Lat/Lng: 33.3705, -85.0061
$149,530
15.74 ac.
01/27/2026
ACTIVE
Switch to Map View
Description
This property is plated as 3 lots, fronting Newman Road and Joe Stephens Road. Tracts 6, 7 and 17 on survey.
Details
County:
Heard
Zipcode:
30217
Property Type One:
Residential Property
Brokerage:
Re/Max Results LaGrange
Brokerage Link:
https://upchurchbrotherspg.com/
Morgan Marlowe
Re/Max Results LaGrange
(706) 315-8260
Contact Agent
By clicking the button, you agree to our
Terms of Use
and
Privacy Policy
.
View Original Listing
Download Listing Brochure
Nearby Listings
Randolph County, AL
$840,104 - 280 ac.
Meriwether County, GA
$3,699,000 - 192 ac.
Cleburne County, AL
$1,225,000 - 240 ac.
Fulton County, GA
$2,500,000 - 11 ac.
Upson County, GA
$1,800,000 - 29 ac.
Randolph County, AL
$319,301 - 88 ac.
Randolph County, AL
$149,768 - 39 ac.
Randolph County, AL
$211,463 - 55 ac.
Randolph County, AL
$487,122 - 179 ac.
Coweta County, GA
$645,000 - 6 ac.
$
image/svg+xml
image/svg+xml
image/svg+xml
image/svg+xml
image/svg+xml
image/svg+xml
image/svg+xml
image/svg+xml
image/svg+xml
image/svg+xml
image/svg+xml
image/svg+xml
image/svg+xml
image/svg+xml
image/svg+xml
image/svg+xml
image/svg+xml
image/svg+xml
image/svg+xml
image/svg+xml
image/svg+xml
image/svg+xml
image/svg+xml
image/svg+xml
image/svg+xml
image/svg+xml
image/svg+xml
image/svg+xml
image/svg+xml
image/svg+xml
image/svg+xml
image/svg+xml
image/svg+xml
image/svg+xml
image/svg+xml
image/svg+xml
image/svg+xml
image/svg+xml
image/svg+xml
image/svg+xml
image/svg+xml
image/svg+xml
image/svg+xml
image/svg+xml
image/svg+xml
image/svg+xml
image/svg+xml
image/svg+xml
image/svg+xml
image/svg+xml
image/svg+xml
image/svg+xml
image/svg+xml
image/svg+xml
image/svg+xml
image/svg+xml
image/svg+xml
image/svg+xml
image/svg+xml
image/svg+xml
image/svg+xml
image/svg+xml
image/svg+xml
image/svg+xml
image/svg+xml
image/svg+xml
image/svg+xml
image/svg+xml
image/svg+xml
image/svg+xml
image/svg+xml
image/svg+xml
image/svg+xml
image/svg+xml
$
image/svg+xml
image/svg+xml
image/svg+xml
image/svg+xml
image/svg+xml