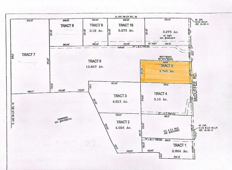
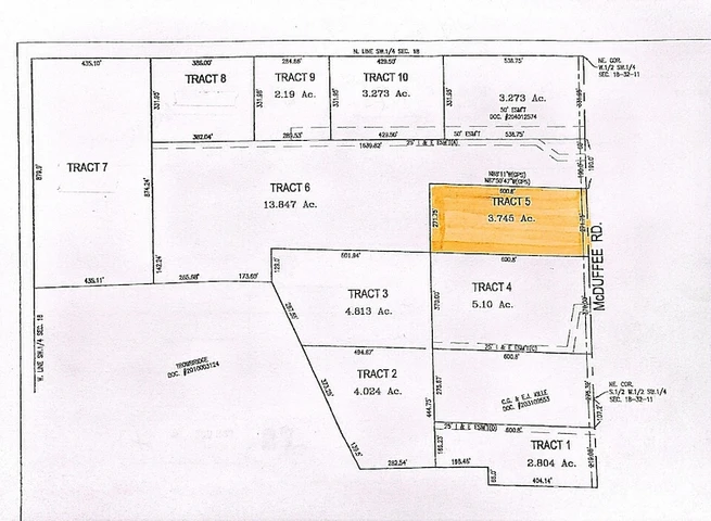
If you have been looking for LAND in the COUNTRY then THIS MIGHT BE IT! Northwest Allen County School District. There are additional lots available. Just outside of a SMALL TOWN with its conveniences, yet not far from the hustle bustle of Fort Wayne. Walking Property is by Appointment Only. *DO NOT PARK ON ANY DRIVEWAYS - THEY ARE NOT OWNED BY SELLER AND PRIVATELY OWNED BY ADJACENT PROPERTY OWNERS.