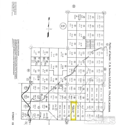
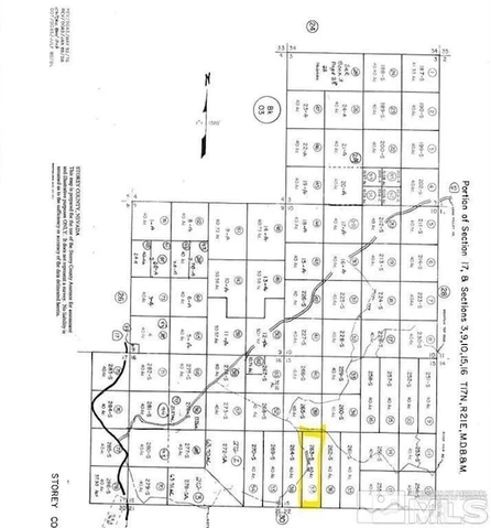
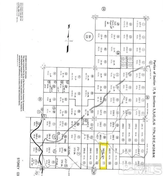
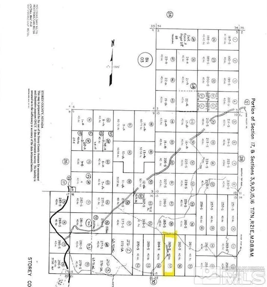
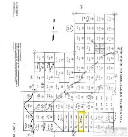
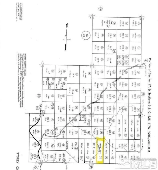
Parcel Map
Sold Land
Land for Sale
Community
Pricing
Help
More
Map
Land For Sale
Nevada
Storey
39.7 acres in Storey County, NV
263S-40S Lot Riverview Road, Reno, NV
|
Lat/Lng: 39.3422, -119.6241
$80,000
39.71 ac.
10/29/2025
ACTIVE
Switch to Map View
Description
39.70 Acres in Virginia City Highlands. Lovely Views!, Buyer to do their own due diligence. Buyer and buyers agent to verify all information.
Details
County:
Storey
Zipcode:
89521
Property Type One:
Undeveloped Land
Brokerage:
eXp Realty
Brokerage Link:
www.NVPrimeHomes.com
Apn:
00427152
Katherine Gillespie
eXp Realty
(775) 451-2521
Contact Agent
By clicking the button, you agree to our
Terms of Use
and
Privacy Policy
.
View Original Listing
Download Listing Brochure
View AcreValue Report
View Comparable Sales
Nearby Listings
Douglas County, NV
$3,500,000 - 22 ac.
Douglas County, NV
$3,800,000 - 143 ac.
Douglas County, NV
$3,950,000 - 28 ac.
Douglas County, NV
$11,900,000 - 4 ac.
Douglas County, NV
$3,795,000 - 10 ac.
Douglas County, NV
No Price - 210 ac.
El Dorado County, CA
$109,900 - 0 ac.
Washoe County, NV
$119,900 - 40 ac.
Washoe County, NV
$1,500,000 - 1038 ac.
Lyon County, NV
$290,000 - 2 ac.
$
image/svg+xml
image/svg+xml
image/svg+xml
image/svg+xml
image/svg+xml
image/svg+xml
image/svg+xml
image/svg+xml
image/svg+xml
image/svg+xml
image/svg+xml
image/svg+xml
image/svg+xml
image/svg+xml
image/svg+xml
image/svg+xml
image/svg+xml
image/svg+xml
image/svg+xml
image/svg+xml
image/svg+xml
image/svg+xml
image/svg+xml
image/svg+xml
image/svg+xml
image/svg+xml
image/svg+xml
image/svg+xml
image/svg+xml
image/svg+xml
image/svg+xml
image/svg+xml
image/svg+xml
image/svg+xml
image/svg+xml
image/svg+xml
image/svg+xml
image/svg+xml
image/svg+xml
image/svg+xml
image/svg+xml
image/svg+xml
image/svg+xml
image/svg+xml
image/svg+xml
image/svg+xml
image/svg+xml
image/svg+xml
image/svg+xml
image/svg+xml
image/svg+xml
image/svg+xml
image/svg+xml
image/svg+xml
image/svg+xml
image/svg+xml
image/svg+xml
image/svg+xml
image/svg+xml
image/svg+xml
image/svg+xml
image/svg+xml
image/svg+xml
image/svg+xml
image/svg+xml
image/svg+xml
image/svg+xml
image/svg+xml
image/svg+xml
image/svg+xml
image/svg+xml
image/svg+xml
image/svg+xml
image/svg+xml
$
image/svg+xml
image/svg+xml
image/svg+xml
image/svg+xml
image/svg+xml