Land for Sale - 5 Acres County Road 4253, Doss, MO 65560 - 5.0 acres

5 acres in Dent County, MO

5 Acres County Road 4253, Doss, MO | Lat/Lng:  37.6300, -91.4384

$42,000
5 ac.
06/11/2025
ACTIVE
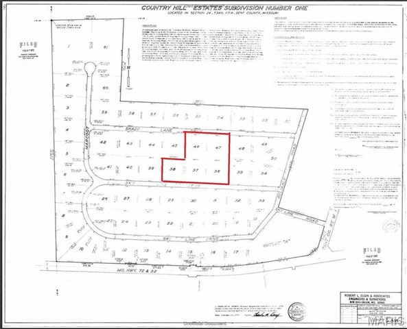
Main Listing ImageMain Listing Image

Description

Located just east of Salem in an established subdivision, this 5-acre parcel offers a peaceful, wooded setting with convenient access to town. Electric near by and high-speed internet are available, and the chip-and-seal road ensures easy maintenance. With access from two county roads CR 4253/ 4255 and multiple potential building sites, this property is perfect for your dream home. Endless possibilities await! Sale includes LOTS 36,37,38,46,47 -agent owned.

Details

CountyDent
Zipcode65560
Property Type OneUndeveloped Land
BrokerageEXP Realty, LLC
Brokerage Linkhttps://land.com
DIEU HONG
EXP Realty, LLC
(228) 456-4424
By clicking the button, you agree to our Terms of Use and Privacy Policy.
$ image/svg+xml image/svg+xml image/svg+xml image/svg+xml image/svg+xml image/svg+xml image/svg+xml image/svg+xml image/svg+xml image/svg+xml image/svg+xml image/svg+xml image/svg+xml image/svg+xml image/svg+xml image/svg+xml image/svg+xml image/svg+xml image/svg+xml image/svg+xml image/svg+xml image/svg+xml image/svg+xml image/svg+xml image/svg+xml image/svg+xml image/svg+xml image/svg+xml image/svg+xml image/svg+xml image/svg+xml image/svg+xml image/svg+xml image/svg+xml image/svg+xml image/svg+xml image/svg+xml image/svg+xml image/svg+xml image/svg+xml image/svg+xml image/svg+xml image/svg+xml image/svg+xml image/svg+xml image/svg+xml image/svg+xml image/svg+xml image/svg+xmlimage/svg+xml image/svg+xml image/svg+xml image/svg+xml image/svg+xml image/svg+xml image/svg+xml image/svg+xml image/svg+xml image/svg+xml image/svg+xml image/svg+xml image/svg+xml image/svg+xml image/svg+xml image/svg+xml image/svg+xml image/svg+xml image/svg+xml image/svg+xml image/svg+xml image/svg+xml image/svg+xml image/svg+xml image/svg+xml $image/svg+xmlimage/svg+xmlimage/svg+xml image/svg+xml image/svg+xml